4 DREADNAUGHT DRIVE, Greenbackville, VA 23356
- $10,990
- $10,990
Overview
- Land, Land
- VAAC2001392
Description
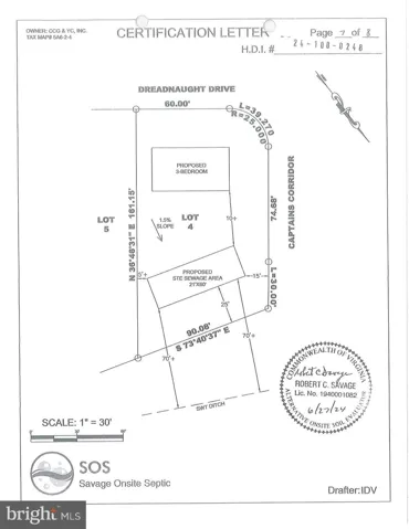
10/4 Seller has done all the test! Oversized cleared corner lot (12,211 sq. ft.). Survey, Wetland & new 3 BR Cert. letter on file. Lot has water availability. No time frame to build and no builder tie-in. Just enjoy all the amenities and the lifestyle on the Eastern Shore of VA close to Chincoteague Island, Wallops Island and Ocean City MD. Captains Cove is the fastest growing Golf & Waterfront community on the Eastern Shore of VA. HOA amenities: Pristine 9 Hole Golf Course, indoor/outdoor pools (2), fitness center, tennis, basketball & pickle-ball courts, playground, boat ramp, walking & biking trails, dog park, security and so much more.
Address
Open on Google Maps-
Address: 4 DREADNAUGHT DRIVE
-
City: Greenbackville
-
State: VA
-
Zip/Postal Code: 23356
-
Area: CAPTAIN'S COVE
-
Country: US
Details
Updated on October 8, 2025 at 1:19 am-
Property ID VAAC2001392
-
Price $10,990
-
Land Area 0.28 Acres
-
Garage Size x x
-
Property Type Land, Land
-
Property Status Active
-
MLS# VAAC2001392
Additional details
-
Association Fee 1874.0
-
Sewer Perc Approved Septic
-
County ACCOMACK-VA
-
Property Type Land
-
Elementary School KEGOTANK
-
Middle School ARCADIA
-
High School ARCADIA
Mortgage Calculator
-
Down Payment
-
Loan Amount
-
Monthly Mortgage Payment
-
Property Tax
-
Home Insurance
-
PMI
-
Monthly HOA Fees
Schedule a Tour
Your information
Contact Information
View Listings- Tony Saa
- WEI58703-314-7742
