EASTER RIDGE LANE, Cross Junction, VA 22625
- $125,000
EASTER RIDGE LANE, Cross Junction, VA 22625
- $125,000
Overview
Property ID: VAFV2035782
- Land, Land
- VAFV2035782
Description
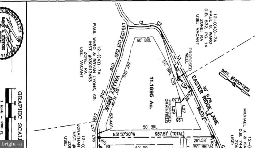
11+ acres in quiet, private setting. Mostly wooded with small pond. Abundant wildlife. Unrestricted. Hunting allowed. Property has an approved drain field area for septic (see plat). **AWD or 4WD vehicle required.**
Property appraised for list price in April 2025.
Address
Open on Google Maps-
Address: EASTER RIDGE LANE
-
City: Cross Junction
-
State: VA
-
Zip/Postal Code: 22625
-
Country: US
Details
Updated on September 19, 2025 at 6:09 pm-
Property ID VAFV2035782
-
Price $125,000
-
Land Area 11.17 Acres
-
Garage Size x x
-
Property Type Land, Land
-
Property Status Active
-
MLS# VAFV2035782
Additional details
-
Sewer No Septic System
-
County FREDERICK-VA
-
Property Type Land
-
High School JAMES WOOD
Mortgage Calculator
Monthly
-
Down Payment
-
Loan Amount
-
Monthly Mortgage Payment
-
Property Tax
-
Home Insurance
-
PMI
-
Monthly HOA Fees
Schedule a Tour
Your information
Contact Information
View Listings- Tony Saa
- WEI58703-314-7742
